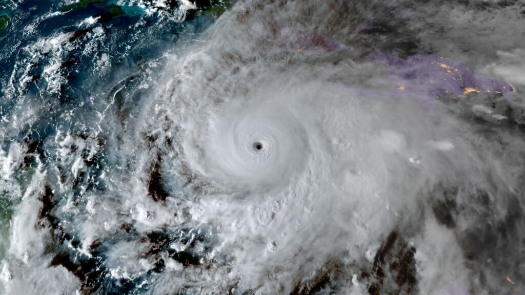
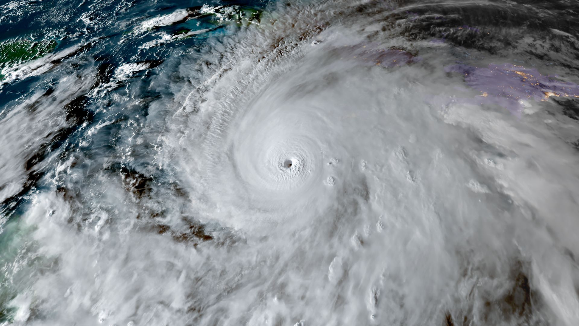
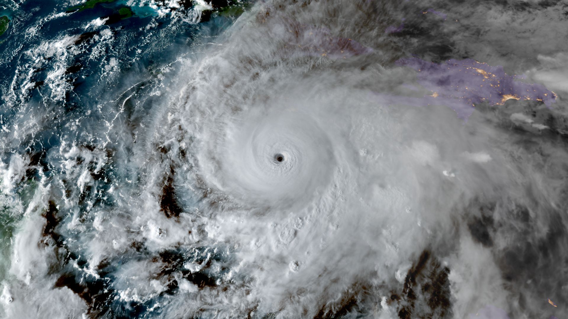
Les images au cœur de l’ouragan Mélissa obtenues par l’US Air Force sont saisissantes. L’ouragan doit atteindre la Jamaïque ce mardi 28 octobre 2025, et le pays tente de se préparer au mieux, car Mélissa pourrait bien être le plus puissant ouragan atteignant cette zone. 7 décès liés à ce phénomène météorologique — ses vents peuvent souffler jusqu’à 280 km/h — sont déjà à déplorer.
Outre les chasseurs de cyclone qui ont immortalisé le phénomène en volant dans l’œil du cyclone, d’autres images de Mélissa viennent de l’espace. Les vues obtenues avec les satellites sont, elles aussi, révélatrices de la violence extrême de l’ouragan.



Les images satellites de l’ouragan Mélissa et de son « œil » cyclonique
« Lever de soleil sur Mélissa qui ne faiblit pas. […] L’activité électrique est importante dans le mur de l’œil et l’on observe les ondes de gravité sur l’image satellite visible », commente sur X le compte de Keraunos, l’Observatoire français des tornades et des orages violents.
L’échelle de Saffir-Simpson classe de 1 à 5 les ouragans, en se fondant sur la vitesse maximale de leurs vents.
L’assemblage des images obtenues depuis l’espace permet de rendre compte de l’évolution de Mélissa, depuis que le phénomène s’est formé le 21 octobre. La classification de l’échelle de Saffir-Simpson est notamment utilisée pour montrer comment Mélissa se transforme progressivement en ouragan, avec un œil bien reconnaissable en son centre.
« L’une des pires catastrophes météorologiques modernes »
« La Terre vient d’enfanter ce qu’elle sait faire de pire. Depuis les satellites, on a probablement sous les yeux l’une des pires catastrophes météorologiques modernes », estime Serge Zaka, ingénieur agronome et chasseur d’orages, sur X.
Les conséquences de l’ouragan en Jamaïque sont anticipées comme « catastrophiques » par l’Agence américaine d’observation océanique et atmosphérique (NOAA). On s’attend ainsi à des « crues soudaines, des glissements de terrain, des ondes de tempête et des vents dangereux qui mettront en danger la vie des habitants ». La menace pour les populations exposées à ce phénomène est donc extrêmement préoccupante.
+ rapide, + pratique, + exclusif
Zéro publicité, fonctions avancées de lecture, articles résumés par l'I.A, contenus exclusifs et plus encore.
Découvrez les nombreux avantages de Numerama+.
Vous avez lu 0 articles sur Numerama ce mois-ci
Tout le monde n'a pas les moyens de payer pour l'information.
C'est pourquoi nous maintenons notre journalisme ouvert à tous.
Mais si vous le pouvez,
voici trois bonnes raisons de soutenir notre travail :
- 1 Numerama+ contribue à offrir une expérience gratuite à tous les lecteurs de Numerama.
- 2 Vous profiterez d'une lecture sans publicité, de nombreuses fonctions avancées de lecture et des contenus exclusifs.
- 3 Aider Numerama dans sa mission : comprendre le présent pour anticiper l'avenir.
Si vous croyez en un web gratuit et à une information de qualité accessible au plus grand nombre, rejoignez Numerama+.
Toute l'actu tech en un clin d'œil
Ajoutez Numerama à votre écran d'accueil et restez connectés au futur !
Tous nos articles sont aussi sur notre profil Google : suivez-nous pour ne rien manquer !











